Busy Hurricane Season is predicted for 2024

That weather is statistical.

No ... folks who put money on this at 20 to 1 are gonna get RICH ... buck-o ... RICH I say ...

[ka'ching][ka'ching][ka'ching][ka'ching][ka'ching][ka'ching][ka'ching][ka'ching][ka'ching][ka'ching]
 
No ... folks who put money on this at 20 to 1 are gonna get RICH ... buck-o ... RICH I say ...

[ka'ching][ka'ching][ka'ching][ka'ching][ka'ching][ka'ching][ka'ching][ka'ching][ka'ching][ka'ching]
Sort of like shorting CDO's when the big banks have the rating agencies in their back pocket.
 
Oh no ... Two has been born in the Atlantic ... alas the forecast track is no joking matter ... still six weeks into the season and this is only the second tropical cyclone ... that 20 to 1 bet is still looking good ...
 
Oh no ... Two has been born in the Atlantic ... alas the forecast track is no joking matter ... still six weeks into the season and this is only the second tropical cyclone ... that 20 to 1 bet is still looking good ...
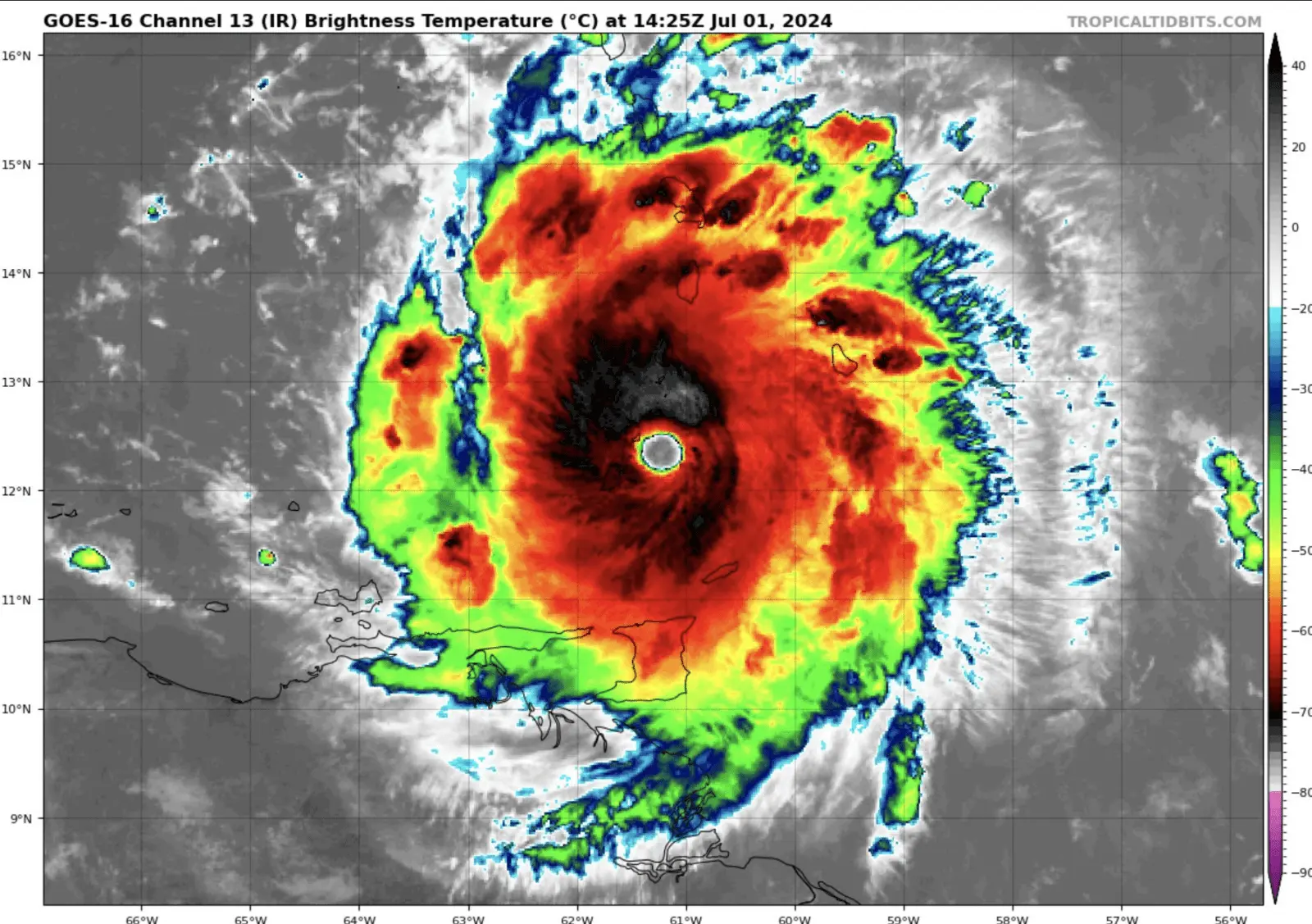
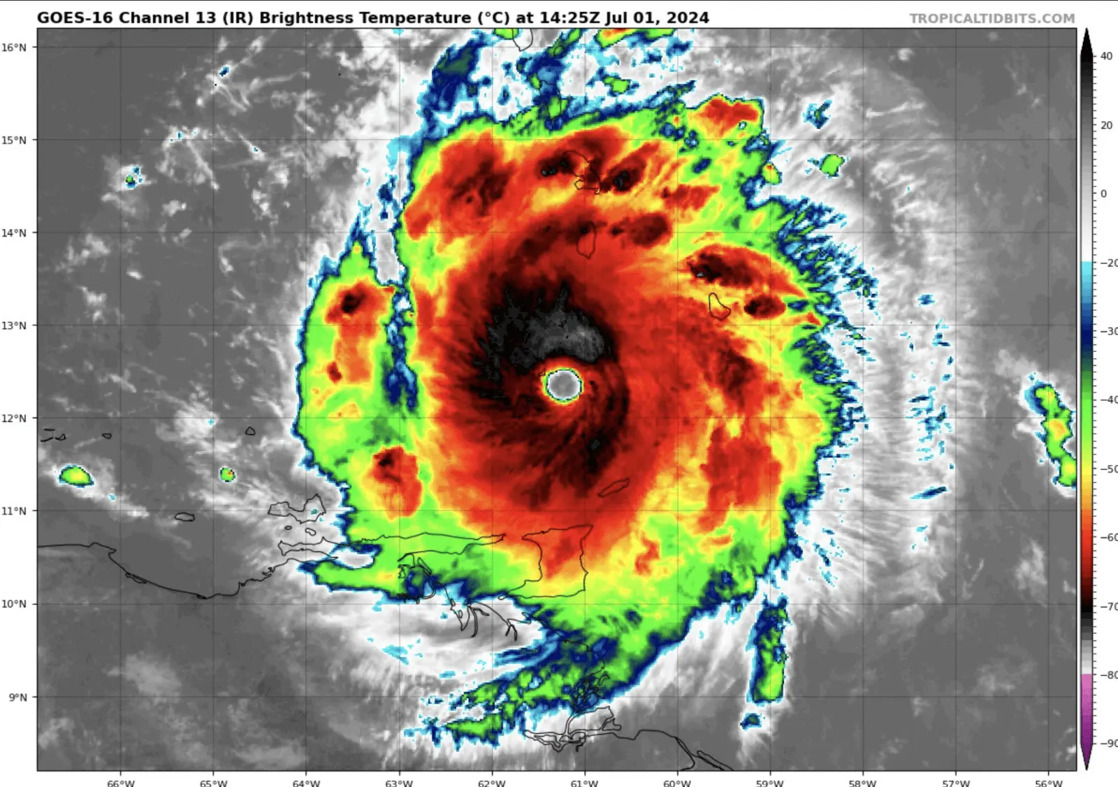
I think it's going to be busy. I get twice daily weather reports from a weather service plus a shit ton of alerts. It looks to me like not as many storms will be turning into the Atlantic. GoM is going to be busy. Invest 95L just spun up to a TD. What makes this system rather unique is how far east in the Atlantic it has developed—only a handful of such tropical systems have organized to this degree in this part of the Atlantic in history! Low-end Hurricane strength should be achieved by either late Sunday evening or Monday morning. Beyond Monday, intensity forecasts vary widely amongst guidance. If this were to happen in August, it would be a beast.
1719615833309.webp


And Feature 07L is right behind it!!!
1719616023467.webp
 
Oh no ... Two has been born in the Atlantic ... alas the forecast track is no joking matter ... still six weeks into the season and this is only the second tropical cyclone ... that 20 to 1 bet is still looking good ...
Season peak doesn't begin til August and actual peak is early September. How about providing some support for your claim that the season so far has been unusually light? Cause here's the data I'm looking at:

1719920069727.png

1719920105711.png

1719920149163.png

 
Last edited:
Oh no ... Two has been born in the Atlantic ... alas the forecast track is no joking matter ... still six weeks into the season and this is only the second tropical cyclone ... that 20 to 1 bet is still looking good ...
And, of course, we now have the first Cat 5 to EVER appear in June. And the same storm went from a tropical depression to a Cat 4 in less than 48 hours; both these ocurrences due to the extraordinarily warm Atlantic. So, you still taking bets about the season?
 
And, of course, we now have the first Cat 5 to EVER appear in June. And the same storm went from a tropical depression to a Cat 4 in less than 48 hours; both these ocurrences due to the extraordinarily warm Atlantic. So, you still taking bets about the season?
Do you realize it is weakening?

1720037874793.webp
 
Season peak doesn't begin til August and actual peak is early September. How about providing some support for your claim that the season so far has been unusually light? Cause here's the data I'm looking at:

View attachment 970355
View attachment 970356
View attachment 970358
Given that the previous interglacial was 2C warmer than today, would it have been even worse back then?
 
Interestingly and being ignored right now....

Tropical activity in the Pacific at record lows....:oops:

What's up with that?
That would be a different thread. Why don't you go start one.
 
And, of course, we now have the first Cat 5 to EVER appear in June. And the same storm went from a tropical depression to a Cat 4 in less than 48 hours; both these ocurrences due to the extraordinarily warm Atlantic. So, you still taking bets about the season?

LOL another hyperbole, how many years of data are you working from?

Meanwhile Bertha is weakening because it has moved off the area of Barrier Layers that prevents hurricanes from pulling up cooler moisture.
 
I'm sure the Jamaicans are pleased as punch. And the weakening you see will be due to the storm smashing into the Yucatan Peninsula.

They should as it happens as it has for CENTURIES thus unsurprising when it happens.
 
15th post
Despite Bertha's strong status the tropical season is off to a slow start:


2024 Accumulated Cyclone Energy [ACE]

Northern Hemisphere
12.7375 67
19%
575
648
10.45​
43​
24%
298
275
0​
14​
0%
132
165
0 1
0%
122
146
North Indian
2.2875​
7​
32%
23
60
Southern Hemisphere
169.958 209
81%
205
244
Global
145.8305​
239​
61%
780
881


LINK
 
I'm sure the Jamaicans are pleased as punch. And the weakening you see will be due to the storm smashing into the Yucatan Peninsula.
Actually it's due to a higher wind shear before the Yucatan Peninsula, Chicken Little.
 
There hasn't been a Cat 5 storm this early in the season for over 100 years.

Are you offering a bet on how this season turns out?

LOL, why are you so messed up in every post, when all you had to do was just reply to what I stated, my point was you said it is the first ever but in reality that is going to be false because before the 1970's we simply didn't cover all of the oceans thus not all massive or early hurricanes were seen and far less before 1900 as over 75% of the worlds warm ocean area were barely travelled so your hyperbole is what it is then a millions of years before that..... lol.

Secondly, I am the one who started this thread predicting a big tropical storm and hurricane season which is largely because of warmer than usual SST and low shear winds and apparently due to barrier lays that strongly contributed to rapid intensification when it went through the area now that it passed favorable ocean surface conditions it has weakened quite a bit losing at least 25 mph steady but Bertha is forecasted to decline into a Tropical storm by Friday evening might not go back to hurricane level before landfall.
 
Last edited:

New Topics

Back
Top Bottom