There has to be a way. Or track them back to where they ultimately land.They should be able to jam the frequencies, and force them down safely.
Follow along with the video below to see how to install our site as a web app on your home screen.
Note: This feature may not be available in some browsers.
There has to be a way. Or track them back to where they ultimately land.They should be able to jam the frequencies, and force them down safely.
Our Military "leadership" says they don't know who is controlling the drones but somehow they know it's not Iran. Splain that one!This is seriously fucked up.

News to me. You'd think there would be a memo.
Maybe it's because the current resident is so useless that the incoming is already taking over.
Which would make you a terrible president. One of the big things a president wants to shine is his legacy, and acting like a spoiled child, such as ratcheting up the risk of us getting pulled into a war we're not currently involved in, destroys it.There is still over a month to go before he officially takes office but Trump has already been taking several meetings with foreign leaders and will join other leaders in Paris for the re-opening of Notre Dame.
This reminds me of if my company let me go but asked me to stick around for 2 weeks to help train my replacement. LOL. No ******* way. I'm not going to help the new guy take over my job. Let him figure it out like I did. Remember how helpful Trump was to Biden when he beat him? Exactly! So if I were Biden I would be DONE too. Going on vacations on the tax payers dime. **** all yall would be my feelings
A shotgun slug can travel up to a mile, 1/2 mile for buckshot and 1/4 mile for birdshot are approx. max distances, depending on shot size.So I'm right the bullet can go that far? I knew it! Seems like the bullet wouldn't go that far but I would never take the chance. Now I know.
A shotgun wouldn't go that far right?
Yes a .450 BM falls off like a rock at long distances, but remember the distance a bullet will travel is much greater than it's effective range. Treat it the same as anything else- know your backstop before you pull the trigger.A .450 Bushmaster bullet is generally considered effective out to around 250-300 yards, with most responsible hunters and shooters not exceeding that range due to significant bullet drop beyond that distance; making it not a long-range cartridge by design.
Hundreds of Videos ( plus under oath in front of Congress hearing )Eyewitness testimony is notoriously inaccurate.
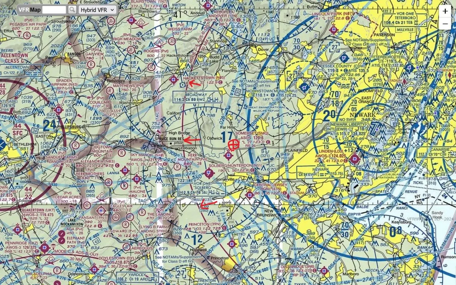
Exactly. The red circle with the crosshair is the Trump Golf Course. The arrows point to the 30nm. Mode C/ADS-B ring. You cannot legally fly inside that ring without a transponder.Our Military "leadership" says they don't know who is controlling the drones but somehow they know it's not Iran. Splain that one!![]()
Not in an Urban setting like NJ ?They should be able to jam the frequencies, and force them down safely.
This wave of Mysterious Drone incursions is worse than the Chinese Spy Balloons fiascosExactly. The red circle with the crosshair is the Trump Golf Course. The arrows point to the 30nm. Mode C/ADS-B ring. You cannot legally fly inside that ring without a transponder.
The heavy blue line to the east of the golf course is the outer ring of the New York Class B airspace. That is JFK, LaGuardia, and Newark International Airports.
How can someone operate a large drone in this airspace undetected? It is just not realistic.
View attachment 1053055
To malign or impugn folks of color or Minorities ( Iran ) is verboten today ( but give it 5 weeksOur Military "leadership" says they don't know who is controlling the drones but somehow they know it's not Iran. Splain that one!![]()
How do you know they were undetected?Exactly. The red circle with the crosshair is the Trump Golf Course. The arrows point to the 30nm. Mode C/ADS-B ring. You cannot legally fly inside that ring without a transponder.
The heavy blue line to the east of the golf course is the outer ring of the New York Class B airspace. That is JFK, LaGuardia, and Newark International Airports.
How can someone operate a large drone in this airspace undetected? It is just not realistic.
View attachment 1053055
I’m no lib but my $$ is on them being ChineseHow do you know they were undetected?
Because the obama/biden Deep State says so?
At this point we have to say the drones are unproven and may not exist
But dont dismiss them out of hand because libs fear they could be iranian
What I am saying is that they are most likely FBI or Secret Service or Homeland.How do you know they were undetected?
Because the obama/biden Deep State says so?
At this point we have to say the drones are unproven and may not exist
But dont dismiss them out of hand because libs fear they could be iranian
They are not a usual Govt Agency ( CIA ) ( DEA ) ( USSS ) ( FBI … and if they were and the Military and the WH and Defense Department lied 4 times under oath then there would be firings and prosecutions in 5 weeksWhat I am saying is that they are most likely FBI or Secret Service.
They are not going undetected by the terminal radar.
The gov't has never lied to Congress about classified shit?They are not a usual Govt Agency ( CIA ) ( DEA ) ( USSS ) ( FBI … and if they were and the Military and the WH and Defense Department lied 4 times under oath then there would be firings and prosecutions in 5 weeks
Not under oath with 27 Cameras pointed at them and a Rabid Conservative Administration looming on Horizon in weeks lookin to bust up the Woke / Clueless about White Rage Military and Side pickin FBI …The gov't has never lied to Congress about classified shit?![]()
Foreign Adversary is why they lieWhat I am saying is that they are most likely FBI or Secret Service or Homeland.
They are not going undetected by the terminal radar.
They will also lie if it would disclose security measures they are taking to protect the President. They do not want to make everything they are doing public.T
Foreign Adversary is why they lie
There has to be a way. Or track them back to where they ultimately land.