Philippine catastrophe

Old Rocks

Diamond Member
Joined
Oct 31, 2008
Messages
65,924
Reaction score
11,698
Points
2,040
Location
Portland, Ore.
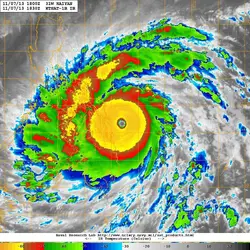
A typhoon with possibly as high sustained winds as 195 mph with gusts to 235 mph going through the Philippines right now. This looks real bad for that nation.
 
195 mph winds/235 mph gust:eusa_whistle:
 

Attachments

  • $20131107_1830_mtsat1r_x_ir1km_31WHAIYAN_170kts-895mb-106N-1270E_100pc.webp
    $20131107_1830_mtsat1r_x_ir1km_31WHAIYAN_170kts-895mb-106N-1270E_100pc.webp
    254.2 KB · Views: 57
  • $t.webp
    $t.webp
    7.7 KB · Views: 71
Last edited:
Nasty, I hope they head for high ground, and some caves or something. A 200 mph wind will do some strange stuff. Things that are light weight and normally ignored become deadly projectiles. I remember seeing pictures from Hurricane Carla with blades of straw jammed through telephone poles.

What would a 235 mph marshmallow do to the side of a car?
 
The U.S. Navy's Joint Typhoon Warning Center said maximum sustained winds of this storm were 195 mph, with gusts to 235 mph and the storm is still strengthening. 100 coastal communities are expecting a storm surge of at least 23 feet. This is looking like a record breaker.

By comparison maximum sustained winds in Sandy were 75 mph.
 
Last edited:
The U.S. Navy's Joint Typhoon Warning Center said maximum sustained winds of this storm were 195 mph, with gusts to 235 mph and the storm is still strengthening. 100 coastal communities are expecting a storm surge of at least 23 feet. This is looking like a record breaker.

By comparison maximum sustained winds in Sandy were 75 mph.

That's unreal. That would be a category 7 or 8 over here if they existed. Prayers for those people.
 
Nasty, I hope they head for high ground, and some caves or something. A 200 mph wind will do some strange stuff. Things that are light weight and normally ignored become deadly projectiles. I remember seeing pictures from Hurricane Carla with blades of straw jammed through telephone poles.

What would a 235 mph marshmallow do to the side of a car?
Wind speeds this high can cause automobiles to become airborne, rip ordinary homes to shreds, and turn broken glass and other debris into lethal missiles. Looking at pictures of homes in the path of this storm, I don't think there is going to be much left. The one saving grace is the storm is moving pretty fast which will help with the flooding.
 

I got a neg rep from [MENTION=30094]Warrior102[/MENTION] for this one.

His comment was: Yawn....

Just thought people should know

He is a total CRETIN from way back Old School,but you got off lightly,his abuse of many is heinous.

I have had many a stouch with him,his favourite one liner is "F..k off ***** or as he says Baatich , ignore the CRET.,he will go away and he hates it when you take him on....it's always been "Shit Off A Ducks Back" to me but he is so Ignorantly Vulgar to women in particular.

If you are reading this Warrior,go take that wooden(as opposed to silver)spoon out of your ASS<and SHOVE IT IN YOUR MOUTH. theliq
 
Last edited:
THe problem for the Phillipines is the number of islands. Not just because of elevation. But the storm surge comes from MANY directions at once.

When our east coast gets hit, the storm surge is on the NW corner of the storm. On an island -- it can attack you from several directions as the storm moves by.

Not good...
 
15th post
Yes, on islands, the downwind side can actually get higher waves than the side facing the path of the hurricane, or tsunami, for that matter. This has the possibility of being a terrible catastrophe for that island nation.
 
We (the US) and anyone else with the capacity should have begun staging supplies - moving in assets, hospital ships, etc.

This storm had broken records before it hit land.

From Wikipedia:

Category 5
Sustained winds &#8805; 70 m/s &#8805; 137 kn
&#8805; 252 km/h &#8805; 157 mph
Normal central pressure < 920 mbar < 27.17 inHg

Catastrophic damage will occur
Category 5 is the highest category a tropical cyclone can obtain in the Saffir–Simpson scale. These storms cause complete roof failure on many residences and industrial buildings, and some complete building failures with small utility buildings blown over or away. Collapse of many wide-span roofs and walls, especially those with no interior supports, is common. Very heavy and irreparable damage to many wood frame structures and total destruction to mobile/manufactured homes is prevalent. Only a few types of structures are capable of surviving intact, and only if located at least 3 to 5 miles (5 to 8 km) inland. They include office, condominium and apartment buildings and hotels that are of solid concrete or steel frame construction, public multi-story concrete parking garages, and residences that are made of either reinforced brick or concrete/cement block and have hipped roofs with slopes of no less than 35 degrees from horizontal and no overhangs of any kind, and if the windows are either made of hurricane-resistant safety glass or covered with shutters. Unless all of these requirements are met, the absolute destruction of a structure is certain.[5]
The storm's flooding causes major damage to the lower floors of all structures near the shoreline, and many coastal structures can be completely flattened or washed away by the storm surge. Virtually all trees are uprooted or snapped and some may be debarked, isolating most communities impacted. Massive evacuation of residential areas may be required if the hurricane threatens populated areas. Total and extremely long-lived extensive power outages and water losses are to be expected, possibly for up to several months.[5]
Historical examples of storms that made landfall at Category 5 status include the 1959 Mexico Hurricane, Camille (1969), Anita (1977), David (1979), Gilbert (1988), Andrew (1992), Dean and Felix (both in 2007)


This is the fifth named typhoon to cross the Philippine Islands this season. But, don't fret. Warming is GOOD for us and never hurts anyone. Right? Right?
 
We (the US) and anyone else with the capacity should have begun staging supplies - moving in assets, hospital ships, etc.

This storm had broken records before it hit land.

From Wikipedia:

Category 5
Sustained winds &#8805; 70 m/s &#8805; 137 kn
&#8805; 252 km/h &#8805; 157 mph
Normal central pressure < 920 mbar < 27.17 inHg

Catastrophic damage will occur
Category 5 is the highest category a tropical cyclone can obtain in the Saffir–Simpson scale. These storms cause complete roof failure on many residences and industrial buildings, and some complete building failures with small utility buildings blown over or away. Collapse of many wide-span roofs and walls, especially those with no interior supports, is common. Very heavy and irreparable damage to many wood frame structures and total destruction to mobile/manufactured homes is prevalent. Only a few types of structures are capable of surviving intact, and only if located at least 3 to 5 miles (5 to 8 km) inland. They include office, condominium and apartment buildings and hotels that are of solid concrete or steel frame construction, public multi-story concrete parking garages, and residences that are made of either reinforced brick or concrete/cement block and have hipped roofs with slopes of no less than 35 degrees from horizontal and no overhangs of any kind, and if the windows are either made of hurricane-resistant safety glass or covered with shutters. Unless all of these requirements are met, the absolute destruction of a structure is certain.[5]
The storm's flooding causes major damage to the lower floors of all structures near the shoreline, and many coastal structures can be completely flattened or washed away by the storm surge. Virtually all trees are uprooted or snapped and some may be debarked, isolating most communities impacted. Massive evacuation of residential areas may be required if the hurricane threatens populated areas. Total and extremely long-lived extensive power outages and water losses are to be expected, possibly for up to several months.[5]
Historical examples of storms that made landfall at Category 5 status include the 1959 Mexico Hurricane, Camille (1969), Anita (1977), David (1979), Gilbert (1988), Andrew (1992), Dean and Felix (both in 2007)


This is the fifth named typhoon to cross the Philippine Islands this season. But, don't fret. Warming is GOOD for us and never hurts anyone. Right? Right?

^ and there it is

Like a Liberal on a school shooting the AGW Cult loves finding weather stories and blaming it on their God ManMade Global Warming
 
A lot of vulnerable people living (or squatting) in coastal areas there.
 

New Topics

Back
Top Bottom